Overview
lorem ipsum
MEASE - The Metals' EASE
MEASE - Occupational Exposure Assessment Tool for Metals
The MEASE tools provide first-tier exposure estimates for metals and inorganic substances in occupational settings. Developed for regulatory use, they combine measured data and modelling to support transparent, conservative exposure assessments. MEASE 2 refines the approach of MEASE 1 with updated parameters and enhanced reliability.
-
Description
Under the EU REACH regulation (EC No. 1907/2006) it is required for substances which are produced and/or imported in tonnages at or above 10 tons per year and which have been identified as being "hazardous" (according to 67/548/EEC), to develop so-called "exposure scenarios". An integral part of these exposure scenarios is the estimation of exposure for all relevant routes. For workers, the inhalation and dermal exposure route are commonly assumed to be most relevant.
The relevant guidance (PART D, R.12 & R.14) foresees to assess occupational exposure on the basis of process categories (PROC). These PROCs may be seen as surrogates for specific process steps/tasks/workplaces.
To assess occupational exposure, the guidance foresees a "tiered approach". For the 1st tier, it is proposed to use so-called "screening tools". These tools provide conservative estimates of exposure and are meant to identify (screen) unproblematic PROCs in order to save resources to be allocated to PROCs for which higher tier assessments are needed.
As being one of the available 1st tier exposure assessment tools, the guidance promotes the use of the ECETOC targeted risk assessment (TRA) tool (ECETOC, 2009). This tool has been developed to assess exposure to volatile and non-volatile substances. It provides initial exposure estimates on a PROC-specific basis. For each PROC, exposure values are selected from a "look-up table" according to the selected/assigned "fugacity class". The initial estimates can be refined by several parameters (such as the frequency and duration of exposure, the presence of a local exhaust ventilation (LEV) etc.).
Since the TRA tool aims on a very broad applicability, shortcomings in the application to specific problems are inevitable. In particular for the assessment of exposure to metals and inorganic substances, the tool fails to reflect some of the specific needs for those substances.
On behalf of EUROMETAUX, EBRC has therefore developed a tool for the estimation and assessment of substance exposure (MEASE) which combines approaches from the EASE expert system, from the TRA tool and from the health risk assessment guidance for metals (HERAG). It aims on providing a 1st tier screening tool for the estimation of occupational inhalation and dermal exposure to metals and inorganic substances.
For inhalation exposure, the tool follows the PROC-specific approach of the TRA tool and selects initial exposure estimates from three so-called "fugacity classes". The initial exposure estimates for PROCs 21-27a in MEASE are based on measured data from the metals industry. Risk management measures (RMM) are based on a publication of Fransman et al. (2008) who screened and analysed more than 400 publications for data on the efficiency of RMMs. As a result, MEASE gives users the possibility to choose between several RMMs instead of just having an LEV as an implemented RMM.
For dermal exposure, MEASE is based on the classification system of the broadly used EASE system. The exposure estimates are however based on real measured data for several metals. These measurements have been collated and plotted against the EASE exposure classes in the "dermal factsheet" of the HERAG project. That factsheet concluded on a system of exposure bands which are proposed to replace the EASE estimates within its own classification system. These conclusions have been taken up in MEASE.
-
References
ECETOC TRA (2009): ECETOC Targeted Risk Assessment - Worker Exposure Estimation - V 2.0, ECETOC, July 2009.
EASE for Windows 2.0: A system for the estimation and assessment of substance exposure (EASE), Version 2.0, August 1997, developed by the health and safety executive (HSE), UK in conjunction with AIAI, Edinburgh.
Fransman et al. (2008): Development and Evaluation of an Exposure Control Efficacy Library (ECEL), Ann. Occup. Hyg., Vol. 52, No. 7, pp. 567-575, 2008.
HERAG (2007): HERAG FACT SHEET, Assessment of occupational dermal exposure and chemical absorption for metals and inorganic metal compounds, Final version, EBRC Consulting GmbH, August 2007.
-
Sponsorship
Eurometaux, the EU association of the non-ferrous metals industry: LINK TO EUEOMETAUX
Downloads
MEASE 2
MEASE Version 2.00.00, 2 February 2018 (EXE, 24MB) Please login
Installation Guide Version 1.0, 2 February 2018 (PDF, 482 kB)
MEASE 1
MEASE Version 1.02.01, 1 April 2010 (XLS, 216 kB) Please login
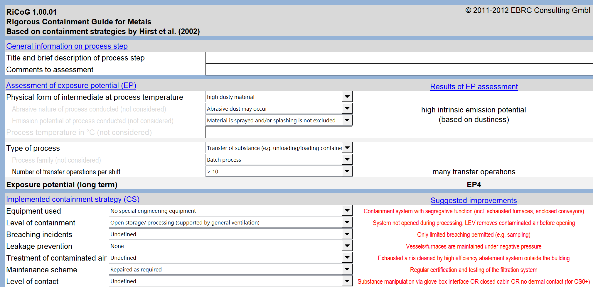
RiCoG - the Rigorous Containment Guide for Metals
RiCoG - Rigorous Containment Guide for Strictly Controlled Conditions under REACH
RiCoG supports registrants in documenting rigorous containment as part of Strictly Controlled Conditions (SCC) for isolated (and transported) intermediates under REACH. Designed with a precautionary, screening-level approach, it helps prioritise process steps for higher-tier assessment and offers a structured way to record rigorous containment at the process level (while site-level emission control remains out of scope). RiCoG is tailored to inorganic substances/metal intermediates, draws on the Hirst et al. containment framework, and is available free of charge to facilitate transparent, defensible SCC compliance checks.
-
Rationale
The registration of an isolated or an isolated and transported intermediate under strictly controlled conditions (SCC) as foreseen in regulation (EC) 1907/2006 (REACH) requires only a reduced dataset compared to a "standard" registration. In order to comply with the requirements of such a simplified registration, strict conditions for the handling and use of such substances are specified under REACH. The registrant is required to confirm that the substance is used under SCC and that it should be rigorously contained during its whole life cycle according to Article 17(3) or 18(4).
It is noted that strictly controlled conditions (SCC) and rigorous containment (RiCo) are not independent concepts: RiCo is an integral part of SCC and therefore has to be seen in this context merely as one of several aspects of a SCC compliance check. This tool is intended to provide guidance to registrants of isolated intermediates on how RiCo of their intermediates could be assessed and documented according to the stipulations of REACh. As for any tool associated with human health and environmental welfare aspects, the tool is intentionally designed in a precautionary way. Any conclusions drawn by the tool should therefore be interpreted with this built-in conservatism in mind, and negative results should not be seen as conclusive but instead should serve as an entry point for further (higher tier) assessments of RiCo.
To assess occupational exposure, the guidance foresees a "tiered approach". For the 1st tier, it is proposed to use so-called "screening tools". These tools provide conservative estimates of exposure and are meant to identify (screen) unproblematic PROCs in order to save resources to be allocated to PROCs for which higher tier assessments are needed.
Thus, in an integrated assessment of SCC for an entire process, RiCoG can be used to prioritise process steps requiring such higher tier assessments, and provides an easy and structured way to assess and to document RiCo for the remaining process steps. RiCoG is provided free of charge, and its use is of course not mandatory. It is intended to support registrants and has been developed to address specific needs of an assessment of RiCo for metal intermediates. In the development of RiCoG, experts from various metals' industries have facilitated adopting the original approach as published by Hirst et al. (2002). Consequently, it is explicitly noted that this tool is designed for use only in compliance checks of RiCo for inorganic substances.
-
Legal Considerations
It is noted that SCC and RiCo are only generically addressed in REACH and the associated technical guidance, so that they are consequently subject to interpretation. Any results obtained by the use of this tool can therefore not be - and are not intended to be - legally binding. The disclaimer included in this tool should also be considered in this respect.
-
Environmental Aspects
By using RiCoG, it is assessed whether the substance is rigorously contained at a process level. If rigorous containment is achieved, relevant exposure of workers and the environment is excluded at that level. It is noted that at a higher level (i.e. at the site level), "...releases and any resulting exposure occurring despite rigorous containment by technical means of the process (i.e. at the process level) are to be minimised by procedural and control technologies (i.e. at the site level)" (Guidance on intermediates, ECHA, December 2010, text in brackets represent an interpretation by the author). Where they exist, the control (minimisation) of these emissions to the environment shall therefore be addressed in an additional assessment outside the scope of RiCoG (i.e. as part of an assessment of further criteria for satisfying SCC).
-
Further Aspects
As already noted, RiCo is merely one aspect of SCC. The other SCC components also need to be fulfilled to make use of the reduced information requirements under REACh for isolated intermediates. In addition, it is required that the registrant (and any downstream user) documents SCC and archives such documentation in-house. It is therefore recommended retaining copies of any RiCo assessment for future reference.
-
References
BAUA (2005a): Einfaches Maßnahmenkonzept Gefahrstoffe: Empirische Zusammenhänge von Einstufung und Arbeitsplatzgrenzwert, Stand. 10. Januar 2010, Bundesanstalt für Arbeitsschutz und Arbeitsmedizin.
BAUA (2005b): Einfaches Maßnahmenkonzept Gefahrstoffe - Fachliche Konzeption, Stand. 10. Januar 2010, Bundesanstalt für Arbeitsschutz und Arbeitsmedizin.
ECHA (2010): Guidance on intermediates, Version 2, European Chemicals Agency, http://echa.europa.eu/, December 2010.
HSE (2002): Control of lead at work (Third edition), Control of Lead ar Work Regulations 2002, Approved Code of Practice and guidance, ISBN 978 0 7176 2565 6, 2002.
HSE (2009): "The technical basis for COSHH essentials: Easy steps to control chemicals, Health and safety Executive, 2009.
Hirst, N., Brocklebank, M., Ryder, M. (2002): Containment Systems, A Design Guide, Institution of Chemical Engineers (IChemE), ISBN 0 7506 7612 4, 2002.
United Nations (2009): Globally Harmonized System of Classification and Labelling of Chemicals (GHS), third revised edition, ISBN-13: 978-92-1-117006-1, New York and Geneva, 2009.
-
Sponsorship
Eurometaux, the EU association of the non-ferrous metals industry: LINK TO EUROMETAUX
-
Disclaimer
This tool is free software: you can redistribute it and/or modify it under the terms of the GNU General Public License as published by the Free Software Foundation, either version 3 of the License, or any later version. This software is distributed in the hope that it will be useful, but WITHOUT ANY WARRANTY; without even the implied warranty of MERCHANTABILITY or FITNESS FOR A PARTICULAR PURPOSE. See the GNU General Public License for more details: http://www.gnu.org/licenses
Downloads
Changelog (1.00.00) (PDF, 193 kB)
RiCoG 1.00.01 (11 September 2012) (XLS, 536 kB) Please login
HERAG - Health Risk Assessment Guidance for Metals
HERAG - Health Risk Assessment Guidance for Metals
Hazard- and risk assessment methodology and guidance documents were historically developed for organic chemicals and failed to adequately address specific characteristics of metals and inorganic compounds. Consider as examples the assessment of (low) systemic absorption after inhalation, oral or dermal exposure to poorly soluble inorganic particulates as opposed to e.g. lipophilic organics. Or exposure assessment based on volatility, which is related to vapour pressure for many organics – a parameter that is usually not relevant for metals.
In 2005 – based on its experience already back then in metals risk assessment, EBRC Consulting GmbH was contracted by the metals industry as the principal consultant to develop metal-specific guidance documents for human health risk assessments (see history and downloads below). In the meantime, regulators and scientist working in chemical risk assessment have become increasingly aware of the need to consider such metal specific aspects. Further tools and guidance have been developed and the knowledge gathered and gained in the HERAG project served as the basis for many of these. continue…
HERAG History
With its extensive background in metals risk assessments already back then, EBRC Consulting GmbH was contracted in 2005 by the Metals Industry (Eurometaux, Eurofer and ICMM) to compile a guidance document for the human health risk assessment of metals and inorganic metal compounds. Such metal-specific guidance was – and still is – needed, because hazard- and risk assessment methodology and guidance were historically developed for organic chemicals. The HERAG project was conducted from 2005 through 2007.
The principal purpose of this Health Risk Assessment Guidance for Metals (HERAG) was to provide the worldwide regulatory and scientific community with an overview of several aspects of risk assessment methodology specific to metals and inorganic metal compounds, with the aim to reduce uncertainty of future risk assessments.
The guidance and concepts presented in HERAG have mainly been built on experience gained in the 1990s and early 2000s with previous or ongoing risk assessments for metals under the EU Existing Substances Regulation (ESR, Council Regulation EEC 793/93) and of voluntary risk assessments conducted in the EU in accordance with this legislation. Cross-reference was also made to other national or international institutions (e.g. US EPA, WHO, OECD).
To allow for an adaptation of this guidance and the underlying concepts to worldwide legislative contexts and to emerging legislation (the then new REACH), HERAG followed a “building block” approach, addressing various aspects of risk assessment separately. Finally, a series of 8 HERAG factsheets were published in 2007 (see downloads). collapse…
Downloads
Summary Document
This document summarizes the key guidance elements for metals risk assessment and gives the purpose, the intented use, the scope and the organization of the HERAG Project as background information. (PDF, 0.5 MB)
Fact sheets related to Exposure Assessment
- Assessment of occupational dermal exposure and dermal absorption for metals and inorganic metal compounds (PDF, 875 kB)
- Assessment of occupational inhalation exposure and systemic inhalation absorption (PDF, 495 kB)
- Indirect exposure via the environment and consumer exposure (PDF, 1.1 MB)
Choice of assessment factors in health risk assessment for metals
- Gastrointestinal uptake and absorption, and catalogue of toxicokinetic models (PDF, 669 kB)
- Mutagenicity (PDF, 283 kB)
- Quality screening procedures for health effects literature (PDF, 1.0 MB)
Fact sheets related to Risk Characterisation
- Essentiality (PDF, 569 kB)
- Choice of assessment factors in health risk assessment for metals (PDF, 185 kB)
Set of all HERAG documents
Herag Summary doucument and fact sheets 01 to 08 (ZIP, 5.2MB)